lundi 12 mai 2014

Eungella National Park

Bonjour !!

Après plusieurs jours passés au bord de l’eau à se relaxer, bronzer, plonger … (oui je sais, le
programme parfait n’est ce pas ?)

Nous avons décidé de s’enfoncer un peu dans les terres afin de visiter un célèbre parc national :
l’Eungella National Park.

C’est un endroit unique où la forêt tropicale pousse en pleins milieux des champs de canne à sucre et
d’une zone plutôt sèche, mais c'est aussi et surtout, la maison d'un petit animal...

Le fameux : ornythorinque !

Tout petit mammifère, mi oiseau – mi castor – mi on ne sait pas trop …

Vous n’êtes pas sans  savoir, que cet étrange mammifère n’existe quand Australie ?!


La visite de ce parc était donc très intéressante, de par sa flore, sa faune bien sur et ses paysages magnifiques.

L’ornythorinque est vraiment tout petit, il sort seulement en début de matinée et fin de journée et vit principalement dans les rivières et à l'ombre des buissons.

C'est bon, vous êtes maintenant des experts en ornythorinques !


Je vous laisse sans plus attendre découvrir cet animal (et les autres hein !!) 























Agnes Water and Lady Musgrave Island

Hello !

We’ll be back from the paradise !!

Ces 2 derniers jours nous avons siégé à Agnes Water afin d’être d’attaque pour prendre le bateau
direction Lady Musgrave Island.

Après avoir attendu (im)patiemment pendant 2h dans un ferry en plein océan, nous sommes arrivés
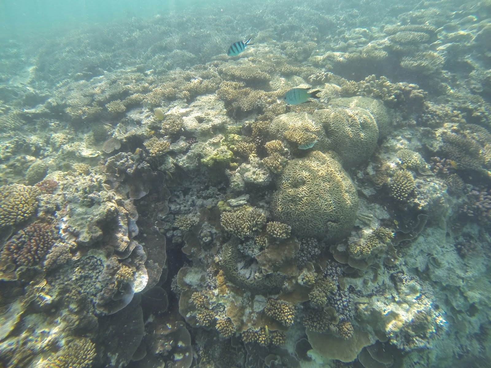
sur la petite île de Lady Musgrave Island, perdue en plein milieu de l’océan Pacifique sur la Grande
barrière de corail.

Après avoir tant attendu, nous découvrons enfin cette célèbre barrière de corail …

Là bas, un petit paradis nous attendait, un superbe lagon d’eau transparente rempli d’une multitude
de poissons.

Nous avons donc passés une très bonne journée à faire du snorkelling et découvrir cette petite île
d’Australie.

Rien qu’en photos, ça donne envie hein ?!


Bisous